





Description
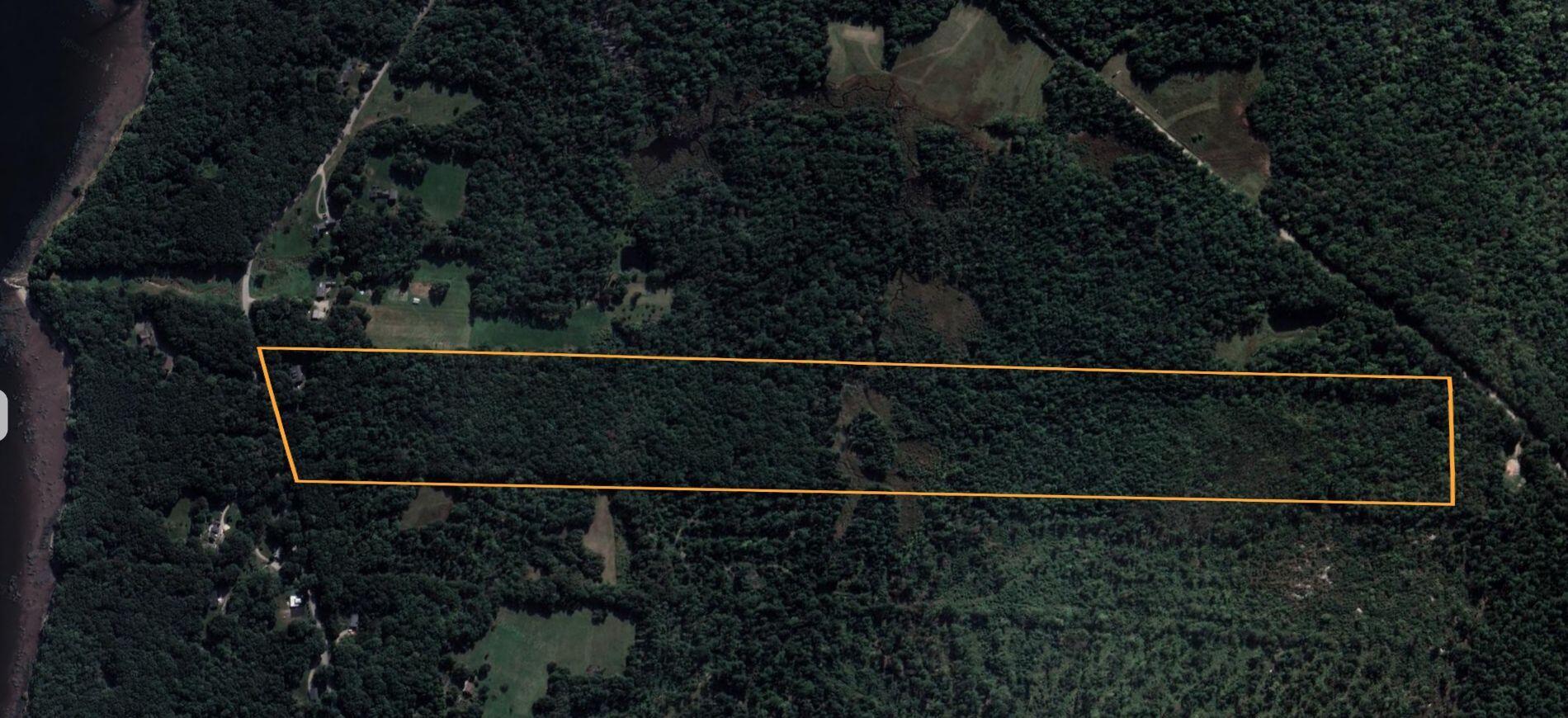
Beautiful piece of land that is centrally located. It is 1.5 miles from Fort Knox Observatory and the Penobscot Narrows Bridge. It is 3.5 miles to Bucksport, 22 miles from Bangor, 22 miles from Ellsworth, 20 Miles from Blue Hill, 38 miles to Acadia National Park, and 18 miles from Belfast. Easy commute distance to many great places. It has already been approved as a 3 lot Subdivision called 'Penobscot Heights' ( 2-2 acre lots and an approx. 42 acre lot). Lots: 2, 3, & 4. It has all kinds of potential! There is a wetland area at the center that could serve a a water retention pond to serve fire department resource. An old logging road runs down the center of the property that could easily be used for a future road. It is over 450 feet wide and 4500 feet long (just 700 feet short of a mile). A must see!
Location
Listed By
Similar Listings
Land
$235,000
MLS# 1655109
ACTIVE
No similar listings found
Unfortunately, we don't have any similar listings at the moment. Please remove or change some of the selected filters.

Listing data is derived in whole or in part from the Maine IDX and is for consumers' personal, non-commercial use only. Dimensions are approximate and not guaranteed. All data should be independently verified. © Maine Real Estate Information System, Inc. All Rights Reserved. Updated: 27th April, 2026 11:33 PM (UTC)
Listing Office: OwnerEntry.com
Attribution contact:




































































































